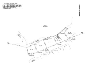
Sub-Arctic Geomatics completed numerous legal surveys throughout Nunavut, Canada. Below are photos depicting the subdivision our team did of Lot 795 separating it into four lots. This was done to allocate specific lots to the existing legal non-conforming improvements (Lots 2 and 3) and create vacant lots suitable for potential future development in a remote community.

